高公局中工處彭勝均/撰稿及圖片提供
一、橋梁概述:
國道1號中沙大橋原名濁水溪橋,「中沙」二字由來為當時(民國60年代)邦交國(沙烏地阿拉伯)貸款協助修建此橋,完工後為紀念兩國友誼永存,特將跨越濁水溪橋命名為中沙大橋,此橋為聯絡臺灣南北之重要橋梁,67年10月31日完工正式啟用,該橋位於彰化縣溪州鄉與雲林縣西螺鎮交界處,起訖里程為226k+430~228k+774,中沙橋上下游溪段航照圖如圖1。
 |
| ▲ |
圖1:國道1號中沙橋上下游溪段航照圖
|
二、工程緣起:
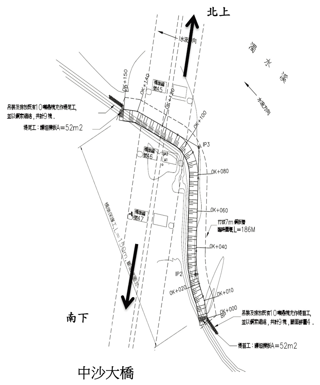
近年國道1號中沙大橋因受濁水溪多主槽河道蜿蜒擺盪變遷之影響,致使本橋上游河道形成彎道,橋墩基之高灘地經常直接遭水流沖擊導致覆土流失,為避免危害橋梁基礎結構安全,本處於102年辦理「國道1號中沙大橋墩基沖刷治理計畫」,以研提較經濟方式提升橋基耐洪能力,並搭配上游處之經濟部水利署第四河川局辦理之右岸護岸工施作,發揮政府一體之橋河共治概念,由本處接續辦理橋墩(右)岸高灘地保護,並於103年5月完成北(右)岸P13及P14砂腸袋護岸工設置,成效卓著。為延續並強化河道治理整體區域性,於今(104)年2月持續辦理中沙大橋南(左)岸P45及P46低水護岸整治,工區施作位置如圖2,施作工法亦採砂腸袋護岸工,藉以加強本橋基沖刷治理保護工作。
 |
| ▲ |
圖2:中沙大橋工區施作位置
|
三、砂腸袋工法設計概念:
砂腸袋為利用兼具透水與保留土壤功能之袋體,將袋體於現場展開後,連接水力輸送管路填充現地疏浚之泥砂,在水力填充後,袋中水分迅速排除,保留於內部之土壤成為一穩定之地工織物-土壤複合體。而所使用材料為地工合成物織造而成之高拉力纖維透水管狀袋體,其纖維主要成分為聚丙烯(polypropylene 簡稱PP)透水織布,摺疊後體積、重量皆小,運送輕便。
而砂腸袋護岸工所使用之地工砂腸袋係藉由灌填河床土石料後,交互堆疊成柔性擋土牆(如圖3),用以保護高灘地,避免土石流失;而表層鋪設護坦模板內填水泥砂漿(如圖4),藉以加強坡面強度,其表面糙度大,能減緩其臨岸水流速度,增加該處河床淤積速率,砂腸袋護岸工擺設示意圖(立面圖)如圖5。
 |
| ▲ |
圖3:砂腸袋圖(103年4月30日拍攝) |
 |
| ▲ |
圖4:護坦模板圖(103年5月15日拍攝)
|
|
 |
| ▲ |
圖5:砂腸袋護岸工擺設示意圖(立面圖)
|
四、工法之內容與效益:
本處南岸砂腸袋護岸工完工後(施工前、後對照如圖6、7),施作總高度約5.6m、長度約為150m,該護岸工為柔性堆疊式擋土牆,且透水性佳,經103年、104年施作至今,未有遭沖毀現象發生,充分發揮保護橋墩及高灘地之作用,且避免土石流失,另其沙腸袋現地取材抽砂充填,施工迅速且價格較施作蛇籠經濟,亦為其一大優勢。再者護坦模板於堆疊之沙腸袋表層鋪設並於其內填水泥砂漿,除加強坡面強度,另因表面糙度大,能減緩其臨岸水流速度,增加該處河床淤積速率,間接達成河道整理的效果,此工法亦為高公局首創採用此工法辦理橋基護岸保護,未來本處將持續觀察成效並推廣適合辦理之河段。
 |
| ▲ |
圖6:護岸工施工前,橋基高灘地直接面對水流沖蝕
|
 |
| ▲ |
圖7:護岸工施工後,河床淤積且間接達成河道整理效果
|